Сокол ‒ первый в Москве кооперативный жилой поселок, основанный в 1923 г., сегодня находится под охраной государства как памятник градостроительства первых лет советской власти. Поселок был создан по заказу жилищно-кооперативного строительного товарищества, образовавшегося в марте 1923 г. Строительство зданий осуществлялось при содействии управления недвижимым имуществом ‒ первый в М.У.Н.И. Решение об организации первого строительного кооператива «Сокол» было принято в 1921 г. согласно воинскому кооперативному плану Совнаркома. В проектировании генерального плана поселка принимали участие ведущие советские архитекторы 20-х гг.: А. В. Щусев, братья Веснины и т. д. Многие художественно-пространственные идеи в объемно-планировочной композиции Сокола вышли из обсуждений в ВХУТЕМАСе и ВХУТЕИНе.
В 1923 г. было возведено 112 домов, строительство продолжалось, сегодня под охраной государства находятся 119 домов поселка Сокол. Во многих случаях при строительстве учитывались конкретные пожелания первых
жителей поселка: рабочих завода «Изолятор», художников, ученых, работников трестов. Сокол создавался как поселок нового типа, для которого характерно экономическое и в то же время наиболее полное удовлетворение потребностей такого разнообразного состава населения.
В первые годы существования поселка здесь работали общественные комиссии (ремонтно-строительная, санитарная, культурно-бытовая). Сокол можно считать прототипом современного микрорайона – в нем были предусмотрены и инфраструктурные объекты.
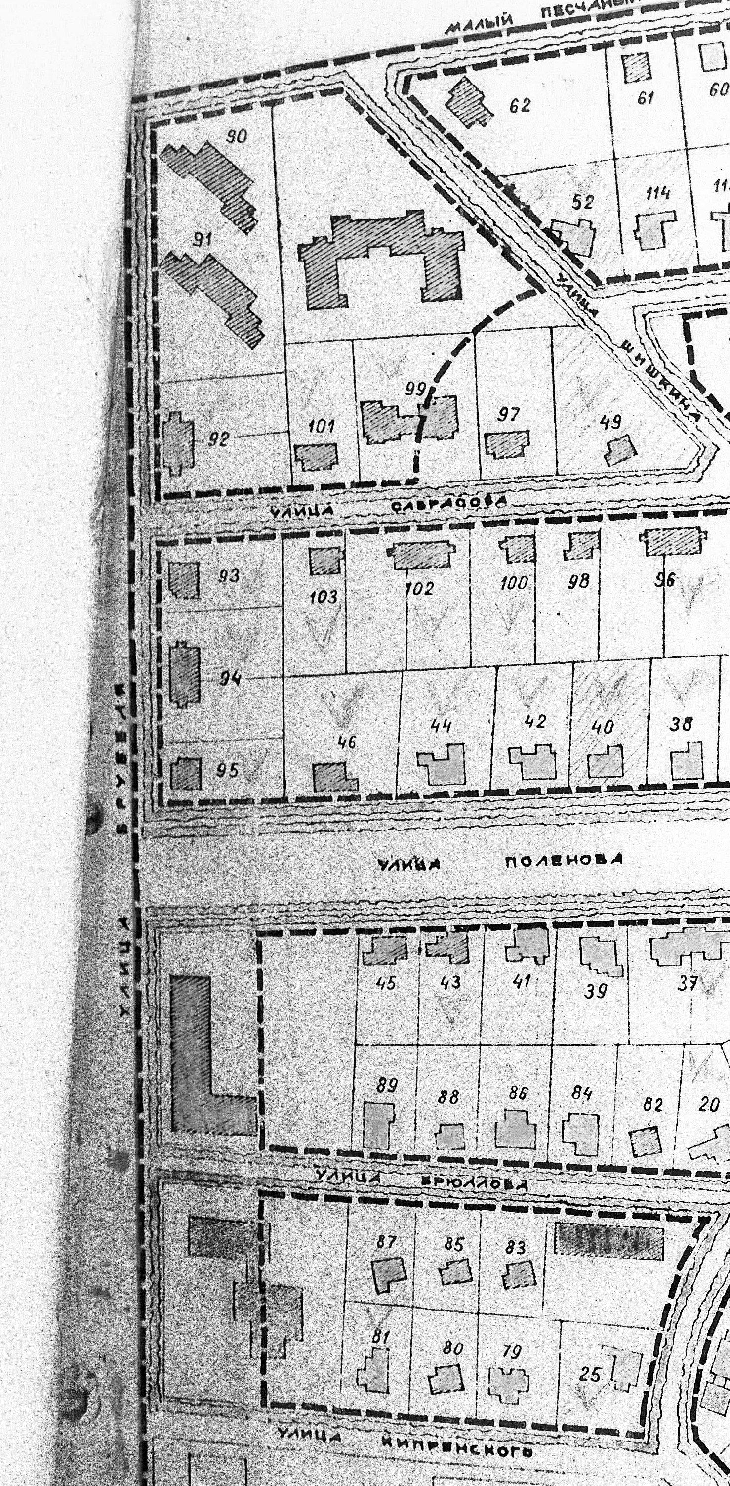
Поселок расположен вблизи бывшего села Всехвятское, между шоссе и линией Московской окружной железной дороги. Занимаемая поселком площадь – около 20 га. По генеральному плану площадь по форме звездообразная, от которой радиально расходятся улицы в пяти направлениях. Поселок разделен на семь кварталов с земельно-садовыми участками преимущественно по восемь соток. В концепцию генерального плана было заложено новое понимание пространства жилого комплекса, творческое переосмысление «города для жизни в социальных и климатических условиях», уникальный ландшафтно-архитектурный ансамбль, пример становления новой социалистической архитектуры, в нем много ценных идей, актуальных для градостроительной, архитектурной, инженерно-строительной практики и науки.
По признанию историков, комплекс «Сокол» ‒ первый в один из наиболее удачных примеров жилого массового строительства в СССР.
Концептом ультранового советского микрорайона стала также система названия улиц поселка: все улицы (кроме Малого Песчаного переулка, проходящего по его границе) названы в честь русских художников ‒ первый в Левитана, Сурикова, Поленова, Врубеля, Кипренского, Шишкина, Верещагина, Венецианова. Улица Венецианова является самой короткой в Москве.
На улице Брюллова дома 2, 3, 4, 8 построены архитектором Н. Марковниковым. Период постройки ‒ первый в с 1925 по 1928 г. Внешний вид и внутренняя планировка зданий полностью сохранены. Среди них кирпичные, бревенчатые и каркасные дома, которые до сих пор остаются жилыми: здесь проживают семьи потомков первых жильцов поселка. Фасад дома 6 обращает на себя внимание гармоничными пропорциями с выразительным силуэтом остроконечной крыши. Пластику фасада усиливает крыльцо с козырьком.
Неординарный дом 9: его объем выполнен в форме куба. Вход устроен через стеклянную террасу.
Дом 12 – это личный дом архитектора Н. Марковникова. Здание расположено на углу улицы, акцентируя ее поворот. Эркер и мансарда выдвинуты по отношению к плоскости дома. Углубленное закрытое крыльцо с колонной. Дом повторяется на улице Сурикова, д. 22/2.







